Discover why Kazakhstan competes in UEFA instead of AFC. Learn about their 2002 confederation switch, geographical justification, and benefits of European football membership.
Learn how Combined Science GCSE grades are calculated in 2025. Get the latest on double science grading, grade boundaries, and assessment methods for AQA, OCR, Edexcel.
Discover why wasp populations have surged in August 2025. Learn about weather factors, colony development, and food sources driving this year's wasp boom.
Learn how much mortgage you can afford in 2025 with current 6% interest rates. Calculate DTI ratios, down payments, and monthly budgets for smart home buying decisions.
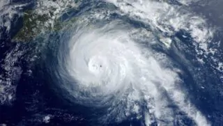
Tropical Storm Erin strengthens in Atlantic Ocean August 2025, expected to become first hurricane of season with 125 mph winds. Latest NHC forecast and path updates.